Please be advised that as of 16 October 2025, new fisheries measures will be in force for West of Scotland MPA. The fisheries measures for this site are demersal mobile and demersal static gear prohibited from full site. For more information about these fisheries measures please see 'Offshore Marine Protected Areas - fisheries management measures: supporting guidance on coordinates and restrictions' on the Scottish Government website. Updated conservation advice will be provided in due course.
|
All features of the former Rosemary Bank Seamount MPA are now protected within this West of Scotland MPA. Incorporating the features of the former Rosemary Bank Seamount MPA within this larger West of Scotland MPA was done to avoid overlapping designations. Further detailed information is available in the Relevant Documentation section below. Please be advised, a consultation has begun by Scottish Government on fisheries management measures within Scottish MPA. This will run until 14 October 2024. For more information please visit the Scottish Government website. |
Status: Deep Sea Marine Reserve
West of Scotland MPA protects a diverse and unique marine landscape to the west of Scotland; from the steep gradient of the continental slope, across the sediment plains of the Rockall Trough, to the slopes of George Bligh Bank and Rockall Bank, including two isolated seamounts (Anton Dohrn and Rosemary Bank Seamount) created by extinct volcanoes.
Video
Site
The deep seas around Scotland are home to some of the most vulnerable and diverse habitats and species on Earth. The West of Scotland MPA makes a significant contribution to the protection of these unique deep-sea ecosystems in the seas around Scotland. Their protection ensures the MPA can provide a range of benefits to society, including nutrient cycling and carbon storage.
Map displaying the West of Scotland MPA boundary. Visit JNCC's MPA Mapper to further view and explore data for this MPA.
Legislation
Legislation behind the designation: Marine and Coastal Access Act (2009)
Protected Features
| Feature | Feature Type |
| Burrowed mud (including Sea-pens) | Habitat feature |
| Coral gardens | Habitat feature |
| Cold-water coral reefs (including Lophelia pertusa reefs) | Habitat feature |
| Deep-sea sponge aggregations | Habitat feature |
| Offshore deep-sea muds | Habitat feature |
| Offshore sands and gravels | Habitat feature |
| Seamount communities | Habitat feature |
| Seamount | Large-scale feature |
| Blue Ling (Molva dypterygia) | Species feature |
| Leafscale gulper shark (Centrophorus squamosus) / Gulper shark (Centrophorus granulosus) | Species feature |
| Orange roughy (Hoplostethus atlanticus) | Species feature |
| Portuguese dogfish (Centroscymnus coelolepis) | Species feature |
| Round-nose grenadier (Coryphaenoides rupestris) | Species feature |
|
A range of features representative of the Anton Dohrn Seamount (and adjacent sea floor), George Bligh Bank (and adjacent sea floor), North-east Rockall Bank (and adjacent sea floor), Rosemary Bank Seamount (and adjacent sea floor), Summer Isles to Sula Sgeir Fan, The Barra Fan and the Peach Slide Complex Key Geodiversity Areas. These seven Key Geodiversity Areas include bioherm reefs, cliff, continental slope turbidite canyons, erosional scour fields, iceberg ploughmarks, ice-distal and glacimarine facies, ice-proximal and ice-contact facies (e.g. mega-scale glacial lineations), large bank (Palaeogene igneous centre), parasitic cones, prograding wedge, scour moats, seamount (Palaeogene igneous centre), sediment drifts, sediment wave field, slide deposit, slide scars, small scale ridges, sub-glacial tills, turbidite accumulations. |
Geological and geomorphological features |
The acquisition of new data may result in updates to our knowledge on feature presence and extent within this site. The most up to date information is reflected on the map on this section and in JNCC’s MPA Mapper and the evidence underpinning this can be viewed in the Monitoring and Evidence section.
Site Timeline
The diagram below is a summary of the key milestones involved in the selection and designation of the West of Scotland MPA. More detail can be found in the Relevant Documentation section.
Relevant Documentation
The documents referred to below and any other historical documents relating to the West of Scotland MPA were produced during the selection and designation process and therefore may be out of date. This Site Information Centre is the most up-to-date source of information for this MPA and will reflect any additional information gathered since these documents were produced.
- Ecological Overview Document – provides an overview of our ecological understanding of the MPA; both in terms of the protected features and the geographic area more broadly with regards to its functional significance.
- Data Confidence Assessment – provides an overview of JNCC’s confidence in the data underpinning presence and extent for the protected features of the MPA.
- Conservation and Management Advice – provides an overview of the conservation objectives for the protected features of the MPA and the management measures considered necessary to best achieve those objectives.
- Management Options Paper – Considers the management options for achieving the conservation objective for the protected feature in the MPA.
- Designation Order – Scottish Ministerial Order underpinning the designation of the deep-sea marine reserve, including MPA boundary co-ordinates, and information on protected features and their conservation objectives.
- Consultation Report – Provides an analysis and response to the comments received during the public consultation run by Marine Directorate on the deep-sea marine reserve.
- MPA Boundary Advice - Provides an overview of the evidence underpinning JNCC’s advice on the potential amendment of West of Scotland deep-sea marine reserve’s boundary (published 2024).
Summary
Last updated: September 2020
Information for this site summary was adapted from the West of Scotland Ecological Overview Document and incorporates any further information gathered since this document was produced. Please refer to this document in the Relevant Documentation section for further details and information sources.
Site overview
The West of Scotland MPA covers a diverse marine landscape to the west of Scotland; from the steep continental slope across the sediment plains of the Rockall Trough, to the slopes of George Bligh Bank and Rockall Bank with two isolated seamounts (Anton Dohrn and Rosemary Bank) created by extinct volcanoes.
It is the geological and geomorphological features of the MPA that define this varied and interesting marine landscape, with volcanic igneous rock protrusions forming the seamounts and the large banks at the western extent of the MPA. Slide deposits are a characteristic feature along the Scottish continental slope, while other geomorphological and glacial remnant features such as sediment wave fields, scour moats, turbidite accumulations and iceberg plough marks form the landscape of the seabed.
The interaction of these features with ocean currents determines the sediment types we find across the seabed. These are protected sedimentary habitat features of the MPA; offshore deep-sea muds and offshore subtidal sands and gravels and the biological communities that inhabit them. A particular type of muddy habitat, burrowed mud is also a protected feature of the MPA and supports a range of burrowing megafauna such as mud shrimps. The ‘bioturbation’ or burrowing activity of these species (and others such as polychaete worms) mixes the sediment and allows oxygen to penetrate deeper into otherwise anoxic layers allowing the sediments to support a greater diversity of species. This habitat also plays a critical role in nutrient exchange between the water column and sediments, with bioturbation releasing nutrients into the water column, making them available to the food chain. Where this occurs at larger scales, it can result in the fixing of carbon that may assist in climate regulation.
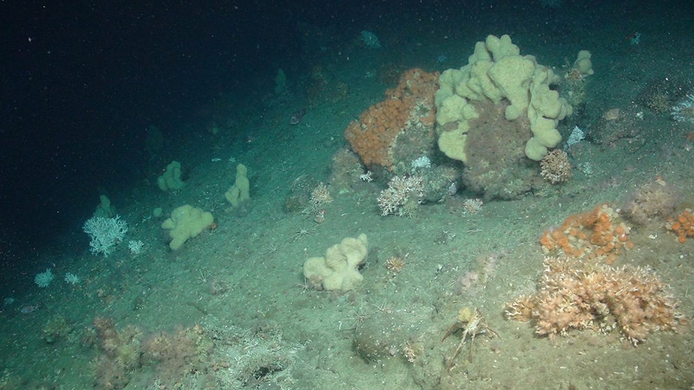
All of the protected biodiversity features of the MPA are Priority Marine Features (PMFs); these are habitats and species considered to be of conservation priority in Scotland’s seas. Coral gardens, cold-water coral reefs (including Lophelia pertusa reefs), deep-sea sponge aggregations, seamount communities, Leafscale gulper shark (Centrophorus squamosus), Gulper shark (Centrophorus granulosus), Orange roughy (Hoplostethus atlanticus) and Portuguese dogfish (Centroscymnus coelolepis) are also listed as OSPAR Threatened and/or Declining habitats or species in the North-East Atlantic region. Burrowed mud (including sea-pens), coral gardens, cold-water coral reefs (including Lophelia pertusa reefs), deep-sea sponge aggregations and seamount communities are all Vulnerable Marine Ecosystems (VMEs) as identified by the joint International Council for the Exploration of the Sea (ICES) / North-west Atlantic Fisheries Organisation (NAFO) Working Group on Deep-Water Ecology (WGDEC) for the North-east Atlantic. These are habitats/ecosystems that are classified as vulnerable (i.e. susceptible to damage).
Deep-sea sponge aggregations, cold-water coral reefs and coral gardens are known as 'habitat formers'. The physical structures they provide, create an environment that other species can colonise. In doing so, they support a diverse community of species. Sponges may also play a significant role in silicon regulation by providing a long-term sink for silicon, while coral skeletons act as a long-term store of carbon.
The MPA protects six deep-sea fish species (blue ling (Molva dypterygia), orange roughy, leafscale gulper shark / gulper shark, Portuguese dogfish and round-nose grenadier (Coryphaenoides rupestris). The MPA contains characteristic habitat for round-nose grenadier, leafscale gulper shark, gulper shark, and Portuguese dogfish. Round-nose grenadier are resident within the MPA, and this is one of only 17 locations globally where Gulper shark has been reported. The MPA protects important aspects of these species' life-cycles, such as spawning areas.
The two seamounts (Rosemary Bank and Anton Dohrn) are protected as large-scale features of the MPA and for the rich seamount communities they support. The seamounts create a very different environment to the sedimentary plains of the Rockall Trough. The dynamic hydrographic environment surrounding the seamounts creates waters that are rich in food for suspension feeders such as sponges and corals that colonise the seamounts. Many fish species such as blue ling, black scabbard and mesopelagic lantern fish are attracted to seamounts for feeding or spawning. The concentrations of fish and other prey species around seamounts also attracts larger predators and marine mammals such as Atlantic white-sided dolphin and Sperm whale, which have been observed in high numbers around these features.
Further detail on the evidence for this MPA can be found in the Monitoring and Evidence section.
Site location: Co-ordinates for this MPA can be found in the Designation Order listed in the Relevant Documentation section.
Site area: 107,718 km2.
Site depth range: The shallowest area within the MPA is approximately 400 m below sea-level. In contrast, the deepest section of the MPA is 2,500 m below sea-level.
Charting Progress 2 Biogeographic Region: Atlantic North-West Approaches, Rockall Trough and Faeroe / Shetland Channel.
Site boundary description: The MPA boundary follows approximately the 800 m depth contour and extends to the edge of British Fisheries Limits out to 200 nautical miles. The West of Scotland MPA boundary excludes most of the existing MPAs within the Rockall Trough area. Although Anton Dohrn Seamount Special Area of Conservation (SAC) does fully overlap with the West of Scotland MPA, it remains an MPA in its own right. The top of Anton Dohrn Seamount falls outwith the SAC boundary however and is encompassed by the West of Scotland MPA.
Monitoring and Evidence
Last updated: November 2023
The full overview of the various data used to support site identification along with information on confidence in feature presence and extent is available in the West of Scotland MPA Data Confidence Assessment. JNCC will be adding relevant survey data for this MPA to our MPA Mapper in due course. Some of the data for this MPA has been collected through JNCC-funded or collaborative surveys and some through other means. Data from these surveys provide direct evidence confirming the presence of the protected features within the site.
Survey and data gathering
- Deep Links Project (2016) – A collaborative project between Plymouth University's Deep Sea CRU and University of Oxford, in partnership with JNCC and British Geological Survey, funded by NERC. During May and June 2016 the RRS James Cook undertook a six week research cruise in the North East Atlantic, collecting data from locations including Anton Dohrn Seamount, George Bligh Bank and Rosemary Bank Seamount. The aim of this project was to investigate the theory that populations at bathyal depths are more isolated because the currents that transport larvae decrease with depth.
- Anton Dohrn SEA/SAC survey (2009) – commissioned by JNCC and undertaken by the British Geological Survey, University of Plymouth and Marin Mättenik AB. The survey collected high quality acoustic and photographic ‘ground-truthing’ data from Anton Dohrn seamount.
- FRVMV Franklin Strategic Environmental Assessment/Special Area of Conservation survey (2006) – A collaborative survey was undertaken by the Department for Trade and Industry and Defra (with staff participating from JNCC) as part of the Strategic Environmental Assessment (SEA) process. This survey collected multibeam and underwater imagery data from areas off the north and west coasts of Scotland. The areas surveyed within the West of Scotland MPA were George Bligh Bank and Rosemary Bank Seamount.
- RV Kommandor Jack Strategic Environmental Assessment survey (2005) – a survey undertaken by the Department of Trade & Industry (DTI), (now the Department for Business, Energy and Industrial Strategy) as part of the Strategic Environmental Assessment (SEA) process. This survey collected multibeam and underwater imagery data from areas off the north and west coasts of Scotland. The areas surveyed within the West of Scotland MPA were George Bligh Bank, Rosemary Bank and Anton Dohrn seamounts.
- RRS James Clark Ross survey (2003) – The British Antarctic Survey – Natural Environment Research Council commissioned survey on the James Clark Ross undertaken at Rosemary Bank Seamount, delivering multibeam data that has helped to define the extent of the seamount.
- Marine Scotland Science Deepwater surveys (1997/2018) – these surveys by MRV Scotia are dedicated to gathering data on deep-water fish species along the continental slope and shelf edge to the west of Scotland. The surveys were initially prompted by the development of deep-water fisheries in this area. The time series of data collected will enable long-term population trends and potential impacts of these fisheries to be identified.
- MB102 Data Collation Contract – This Defra-led contract collated earlier records of hard corals on Rosemary Bank Seamount as part of the seamount communities protected feature from 1979 and 1987.
Data analysis reports
- Applying the OSPAR habitat definition of deep-sea sponge aggregations to verify suspected records of the habitat in UK waters (2014) – JNCC commissioned analysis of deep-sea sponge records, which determined that almost half of the records from Rosemary Bank Seamount and records from the Hebrides continental slope could be verified as deep-sea sponge aggregations with high confidence.
- Report on the identification of Key Geodiversity Areas in Scotland’s seas (Brooks et al. 2011) - This report helped support information on the presence and extent of important geological/geomphological areas in Scotland’s seas, which includes the seven Key Geodiversity Areas of relevance to this MPA.
- Analysis of Department of Trade and Industry Strategic Environmental Assessment survey data (2006) – Analysis of the images from the 2006 MV Franklin survey collected on the western slope and top of the Rosemary bank seamount confirmed the presence of seamount communities, notably the cold-water coral Lophelia pertusa.
- ICES (2018). Report of the ICES/NAFO Joint Working Group on Deep-water Ecology (WGDEC), 5–9 March 2018, Dartmouth, Nova Scotia, Canada. ICES CM 2018/ACOM:26. 126 pp.
- Henry, L-A and Roberts, M. (2014). Developing an interim technical definition for coral gardens specific for UK waters and its subsequent application to verify suspected records. Report for the Joint Nature Conservation Committee, JNCC Report No. 507.
- Hughes, D., Nickell, T. & Gontarek, S. (2014). Biotope analysis of archived stills from the SEA7 region of Scotland’s seas (2011). JNCC Report, No. 502.
Additional relevant literature
References for further supporting scientific literature consulted during the identification of this site can be found in the Data Confidence Assessment. Please be aware that although these sources contain information which is applicable to this MPA, they do not necessarily represent the views of JNCC:
- Doggett, M., Baldock, B. & Goudge, H. (2018). A review of the distribution and ecological importance of seabed communities in the deep waters surrounding Scotland. JNCC Report No. 625, JNCC, Peterborough, ISSN 0963-8091.
- McIntyre, F.D., Drewery, J., Eerkes-Medrano, D. and Neat, F.C. (2016). Distribution and diversity of deep-sea sponge grounds on the Rosemary Bank Seamount, NE Atlantic. Marine Biology, 163: 143.
- Priede, I.G. (2018) Deep-sea Fishes Literature Review. JNCC Report No. 619. JNCC, Peterborough. ISSN 0963-8091. – This review helped support information on the presence and extent of deep-sea fish species, and their life history characteristics within the West of Scotland MPA.
- White, W.T., Ebert, D.A., Naylor, G.J.P., Ho, H.-C., Clerkin, P., Veríssimo, A. & Cotton, C.F. (2013). Revision of the genus Centrophorus (Squaliformes: Centrophoridae): Part 1 — Redescription of Centrophorus granulosus (Bloch & Schneider), a senior synonym of C. acus Garman and C. niaukang Teng. Zootaxa 3752(1): 35-72.
Knowledge gaps
As part of the UK Marine Monitoring and Assessment Strategy (UKMMAS), JNCC led the development of a UK Marine Biodiversity Monitoring Strategy, working with partners across the UK monitoring community. The Strategy spans UK territorial and offshore waters, focusing on biodiversity in the wider environment and within Marine Protected Areas. Its aim is to implement efficient, integrated monitoring of marine biodiversity to provide the evidence needed for all the UK's policy drivers.
The Marine Directorate of Scottish Government, in partnership with JNCC and NatureScot, developed a Scottish Marine Protected Area (MPA) monitoring strategy. The Strategy spans Scottish territorial and offshore waters, focusing on biodiversity within Marine Protected Areas. The Strategy is supported by a series of annexes which provide more detail on monitoring methods, collaborative working, current monitoring and a two year forward look for MPA monitoring in Scottish waters.
The evidence collected during MPA monitoring surveys is used in combination with other available evidence to:
- Enable assessment of condition of the features within sites;
- Contribute to the assessment of the degree to which management measures are effective in achieving the conservation objectives for the protected features;
- Support the identification of priorities for future protection and/or management; and,
- Enable Government to fulfil its national and international assessment and reporting commitments in relation to MPAs and help identify where further action may be required.
More detail on offshore MPA monitoring can be found on the Offshore MPA monitoring webpage. A list of monitoring surveys and relevant reports can be found on the MPA monitoring survey reports webpage.
If you are aware of any additional data or relevant scientific papers for this site not listed in the relevant documentation, including the West of Scotland MPA Data Confidence Assessment, please contact us.
Conservation Advice
Last updated: September 2020
The overarching conservation objectives for the site is for its designated features either to remain in or reach favourable condition. The ability of a designated feature to remain in or reach favourable condition can be affected by its sensitivity to pressures associated with activities taking place within or in close proximity to a protected site.
Formal conservation advice is not currently available for this deep-sea marine reserve and will be added in due course. In the interim, please refer to the Conservation Objectives and Management Advice document under the Relevant Documentation section.
Further information on JNCC's approach used to develop conservation advice packages is available on our 'Conserving MPAs' webpage along with a Glossary of Terms used in JNCC's conservation advice and a short video explaining how to use the conservation advice packages.
Image Gallery
Published:
