Please be advised that as of 16 October 2025, new fisheries management measures are in force for East of Gannet and Montrose Fields Nature Conservation MPA. The fisheries measures for this site are dredge and beam trawling prohibited from full site. Demersal mobile gear (other than demersal seines) prohibited in one zoned area. For more information about these fisheries measures please see 'Offshore Marine Protected Areas - fisheries management measures: supporting guidance on coordinates and restrictions' on the Scottish Government website.
Please be advised the conservation advice package for East of Gannet and Montrose Fields NCMPA was published in December 2025. This is JNCC's formal conservation advice for the site and can be accessed via the conservation advice section of this Site Information Centre.
Please note that the structure of this construction advice package has been revised to support ease of access and understanding for users. More detail is provided in the conservation advice section below.
Status: Nature Conservation Marine Protected Area (Nature Conservation MPA)
Located to the east of Scotland, the East of Gannet and Montrose Fields MPA lies within a relatively shallow sediment plain.
Site
The East of Gannet and Montrose Fields MPA lies to the east of Scotland within a relatively shallow sediment plain.
About half the seabed within the MPA is dominated by sands and gravels, which are the preferred habitat of the ocean quahog (Arctica islandica). These animals can live for more than 400 years and are one of the longest living creatures on Earth. The MPA also includes a substantial area of offshore deep-sea mud dominating the south-east half of the MPA. Many types of worm and mollusc live buried in the mud and provide an important food source for fish.
More detailed site information can be found in the Summary section.
Map displaying the East of Gannet and Montrose Fields MPA boundary and associated protected feature data. Visit JNCC's MPA Mapper to further view and explore data for this MPA.
Legislation
Legislation behind the designation: Marine and Coastal Access Act (2009)
Protected Features
| Feature | Feature Type |
| Offshore deep-sea muds | Habitat |
| Ocean quahog aggregations | Low or limited mobility species |
|
Offshore subtidal sands and gravels (representing sediment types suitable for ocean quahog colonisation) |
Habitat |
Specific information on the conservation objectives relating to this site is provided in the Conservation Advice section.
The acquisition of new data may result in updates to our knowledge on feature presence and extent within this site. The most up-to-date information is reflected on the map on this page and in JNCC's MPA mapper and the evidence underpinning this can be viewed in the Monitoring and Evidence section below.
Site Timeline
The diagram below is a summary of the key milestones involved in the selection and designation of East of Gannet and Montrose Fields Nature Conservation MPA. More detail can be found in the Relevant Documentation section below.
Relevant Documentation
The documents referred to below and any other historical documents relating to East of Gannet and Montrose Fields Nature Conservation MPA were produced during the selection and designation process and therefore may be out of date. This Site Information Centre is the most up-to-date source of information for this MPA, and will reflect any additional information gathered since these documents were produced. Information about the Nature Conservation MPA site selection process is available on JNCC's Nature Conservation MPA webpages.
- Site Summary Document – Overview of the site and the protected features.
- Data Confidence Assessment – Sets out our confidence in the presence and extent of the protected features.
- Assessment against MPA Selection Guidelines – Details the application of the five stages of the Scottish MPA Selection Guidelines.
- Management Options Paper – Considers the management options for achieving the conservation objectives for each of the protected features in the MPA;
- Designation Order – Scottish Ministerial Order for the designation, including MPA boundary co-ordinates, and information on conservation Objectives;
- Business Regulatory Impact Assessment – An assessment of the environmental, social and economic costs and benefits of the designation;
- JNCC's formal conservation advice for this site is available in the Conservation Advice section below.
These resources are available on JNCC's Resource Hub.
Summary
Last updated: May 2021
The information for this site summary was adapted from documents listed in the Relevant Documentation section and incorporates any further information gathered since these documents were produced.
Site overview
The East of Gannet and Montrose Fields MPA lies within a relatively shallow sediment plain comprised mainly of sand and gravel habitats that support a range of benthic species. One such species is the ocean quahog (Arctica islandica), which is considered Threatened and/or Declining across the North-east Atlantic by the OSPAR Commission. This species of clam is typically found beneath the surface of sandy sediments, in water depths from 4 m to over 400 m. Ocean quahog filter food from passing currents and use their shovel-like 'foot' to bury into the sediment. Ocean quahog are an important food source for several species of fish, including cod, and can live buried deep in the sand for long periods of time without food or oxygen to escape predators. They can live for more than 400 years and are one of the longest living creatures on Earth. The Norwegian Boundary Sediment Plain Nature Conservation MPA and Firth of Forth Banks Complex Nature Conservation MPA are also located within the Northern North Sea biogeographic region and designated for ocean quahog aggregations, increasing the replication and, therefore, the resilience of this protected feature in the MPA network.
The MPA also protects the full extent of an area of offshore deep-sea mud. By protecting the full extent of the deep-sea mud in this area, the MPA protects a coherent, rather than fragmented, example of this habitat. This is one of the few examples of Atlantic-influenced offshore deep-sea mud habitats on the continental shelf in the region. Furthermore, East of Gannet and Montrose Fields Nature Conservation MPA is the only MPA designated in the northern North Sea region for the protection of offshore deep-sea muds. The deep-sea muds occur across the south-east half of the MPA, approximately 100 m deep. Ocean quahog are distributed across the entire site, with the supporting habitat for this feature occurring across the north-west half of the MPA. There is limited evidence of the composition and diversity of the biological communities present in this habitat, but evidence from the monitoring survey in 2015 showed this to be colonised by animals such as seapens. Further detail on the evidence for this Nature Conservation MPA can be found in the Monitoring and Evidence section.
Site location: Co-ordinates for this Nature Conservation MPA can be found in the Designation Order listed in the Relevant Documentation section.
Site area: 1,839 km2. The East of Gannet and Montrose Fields Nature Conservation MPA protects an area similar in size to the Scottish county of Caithness (1,844 km2).
Site depth range: The site ranges in depth between 80 m below sea-level and 100 m below sea-level.
Site boundary description: At the time of designation, the MPA boundary encompassed the predicted extent of offshore deep-sea muds verified by British Geological Survey (BGS) and Marine Directorate survey data, and seabed habitats considered appropriate to harbour ocean quahog aggregations. Since the 2015 survey to the site, a more accurate habitat map has been produced (McCabe et al, 2020). The updated feature distribution is described above.
Monitoring and Evidence
Last updated: November 2023
The full overview of the range of data used to support site identification along with information on confidence in feature presence and extent is available in the East of Gannet and Montrose Fields Nature Conservation MPA Data Confidence Assessment. JNCC will be adding relevant data for this MPA to its interactive MPA Mapper when they become available. Some of the data for this MPA have been collected through a JNCC-funded survey. Data from this survey has provided evidence to confirm the presence of the protected features within the site.
Survey and data gathering
- East of Gannet and Montrose Fields and Norwegian Boundary Sediment Plain seabed monitoring survey (2015) – This survey was a collaboration between JNCC and Marine Scotland Science. Video, grabs and camera imagery were collected to form the first point in a monitoring time-series, allowing JNCC to monitor the rate and direction of long-term change in ocean quahog aggregations and offshore deep-sea mud communities.
- Cruise Report from the East of Gannet and Montrose Fields and Norwegian Boundary Sediment Plain monitoring survey (2016) – This report details the preliminary field observations of the seabed monitoring survey of East of Gannet and Montrose Fields Nature Conservation MPA and Norwegian Boundary Sediment Plain Nature Conservation MPA conducted by JNCC and Marine Scotland Science. These observations have not been quality assured and so have not been used to support the presence and extent of ocean quahog aggregations and offshore deep-sea mud.
- Further evidence that supports our understanding of sediment type in the site has been derived from Particle Size Analysis data that have been sourced from partner organisations, including the British Geological Survey. Operators connected to the oil and gas industry in the Northern North Sea have provided data that support the presence of ocean quahog aggregations and offshore deep-sea muds within the MPA boundary.
Data analysis reports
- East of Gannet and Montrose Fields Monitoring Report 2015 (2020) – In this report data collected during the 2015 monitoring survey of East of Gannet and Montrose Fields Nature Conservation MPA conducted by JNCC and Marine Scotland Science are analysed, and results presented. The findings provide evidence for the wider than initially modelled extent of offshore deep-sea muds in the MPA and a concomitatly smaller than initially modelled extent of sandy sediments supporting ocean quahog aggregations. The report also provides evidence for the presence of three seapen species across the MPA with the phosphorescent seapen (Pennatula phosphorea) being most abundant, but mainly restricted to the deep-sea muds. Virgularia mirabilis was found across the entire site and the tall seapen (Funiculina quadrangularis) mainly found in sandy sediments.
- EUSeaMap – Provides supporting information on the presence and extent of offshore subtidal sands and gravels from a predictive seabed habitat map of European waters.
Additional relevant literature
References for further supporting scientific literature consulted during the identification of this site can be found in the Data Confidence Assessment. Please be aware that although these sources contain information in relation to this MPA, they do not necessarily represent the views of JNCC.
Knowledge gaps
As part of the UK Marine Monitoring and Assessment Strategy (UKMMAS), JNCC led the development of a UK Marine Biodiversity Monitoring Strategy, working with partners across the UK monitoring community. The Strategy spans UK territorial and offshore waters, focusing on biodiversity in the wider environment and within Marine Protected Areas. Its aim is to implement efficient, integrated monitoring of marine biodiversity to provide the evidence needed for all the UK's policy drivers.
The Marine Directorate of Scottish Government, in partnership with JNCC and NatureScot, developed a Scottish Marine Protected Area (MPA) monitoring strategy. The Strategy spans Scottish territorial and offshore waters, focusing on biodiversity within Marine Protected Areas. The Strategy is supported by a series of annexes which provide more detail on monitoring methods, collaborative working, current monitoring and a two year forward look for MPA monitoring in Scottish waters.
The evidence collected during MPA monitoring surveys is used in combination with other available evidence to:
- Enable assessment of condition of the features within sites;
- Contribute to the assessment of the degree to which management measures are effective in achieving the conservation objectives for the protected features;
- Support the identification of priorities for future protection and/or management; and,
- Enable Government to fulfil its national and international assessment and reporting commitments in relation to MPAs and help identify where further action may be required.
More detail on offshore MPA monitoring can be found on the Offshore MPA monitoring webpage. A list of monitoring surveys and relevant reports can be found on the MPA monitoring survey reports webpage.
If you are aware of any additional information not referred to in the Relevant Documentation section or above, please contact us.
Conservation Advice
Last updated: December 2025
Further information on the approach used to develop this advice is available on our Conservation Advice webpages along with a Glossary of Terms used in JNCC's conservation advice to support the use of the conservation advice packages.
You must refer to the conservation advice package for a NCMPA if you are:
- intending to carry out any licensed activity in or near a NCMPA and need to find out how to operate within the law;
- an authority providing advice on specific proposals;
- an authority responsible for putting management measures in place.
You may also find it useful to refer to the conservation advice package for a NCMPA if you are intending to carry out an activity in or near a NCMPA that does not require a license.
Note JNCC's conservation advice has undergone development and a restructure in 2025 resulting in some changes it is useful to be aware of. Amongst other changes, most notably, there are now only four documents instead of five, having merged the content previously presented in two separate documents i.e. the Conservation Objectives and Conservation Advice Statements documents into one which is called the Conservation Objectives and Management Advice document.
We will engage with stakeholders to identify any lessons which JNCC can learn from customers who have used the advice, with a view to continuing to ensure it is fit-for-purpose.
The following table provides an overview of the components of the conservation advice and provides hyperlinks to each. Combined, these components form JNCC's formal conservation advice for this site and should be read in conjunction with each other. Until such times as this advice is updated, it remains JNCC's formal conservation advice for the site.
| Document | Overview |
|---|---|
| Background Information | Explains where to find the advice package, JNCC's role in the provision of conservation advice, how the advice has been prepared, when to refer to it and how it can be used. |
|
Sets out the broad ecological aims (conservation objectives) for the site, JNCC's view of protected feature condition, the conservation benefits that the site can provide if managed effectively, and the conservation measures which JNCC consider are required to support achievement of the conservation objectives stated for the site. |
|
| Supplementary Advice on the Conservation Objectives (SACO) |
Provides more detailed and site-specific information and is essential reading to support the interpretation of the conservation objectives for the protected features of the site. Use this document to assess the impacts of your planned activity on the important attributes of the site. |
| Advice on Operations |
Provides information in an excel workbook on the activities capable of impacting the site's protected features and therefore achievement of the site's conservation objectives. This is a starting point for determining potential management requirements. It does not take into account the intensity, frequency or cumulative impacts from activities taking place. It simply supports an understanding of the possible adverse impacts that an activity can have on a MPA's features. Guidance is imbedded to support an understanding and use of the information provided in the workbook. Use the advice on operations to determine those pressures your activity can cause that could harm the protected features of the site. |
These resources are available on JNCC's Resource Hub.
Image Gallery
- Sea anemone (Arachnanthus sarsi) and Phosphorescent sea-pens (Pennatula phosphorea) on offshore subtidal sands and gravels. ©JNCC/Marine Scotland Science.
- Sea urchins (Echinodea) on offshore deep-sea muds. ©JNCC/Marine Scotland Science.
- Phosphorescent sea-pens (Pennatula phosphorea) and hag fish (Myxini) on offshore subtidal sands and gravels. ©JNCC/Marine Scotland Science.
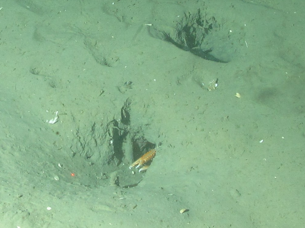
- Norway lobster (Nephrops norvegicus) burrow in offshore subtidal sands and gravels. ©JNCC/Marine Scotland Science.
- Ocean quahog (Arctica islandica), phosporescent sea-pen (Pennatula phosphorea) and gurnard (Triglidae) on offshore subtidal sands and gravels. ©JNCC/Marine Scotland Science.
- Large sea snails (Buccinidae ssp.) on subtidal sand and gravel. ©JNCC/Marine Scotland Science.
Published:
